Bán nhà Nguyễn Kiệm Gò Vấp: 312m2 sàn, nở hậu 6.5m đại cát, giá 13 tỷ 5 - Sổ hồng riêng

Bán nhà Nguyễn Kiệm Gò Vấp: 312m2 sàn, nở hậu 6.5m đại cát, giá 13 tỷ 5 - Sổ hồng riêng

13.5 tỷ

43.27 triệu/m2
  • Bán
  • Đã xác thực
  • ID: 1489
  • Kết cấu

    132 m2 (Nở hậu 6.5m cực đẹp)

  • Diện tích

    312

  • Hướng

    Liên hệ

Nguyễn Kiệm Phường 3 Có Gì Mà Giới Đầu Tư Lại Săn Đón Quỹ Đất Nở Hậu 6.5m Này Đến Thế?

Bạn đã bao giờ tự hỏi, làm thế nào để sở hữu một bất động sản "tiền hẹp hậu rộng" với mặt hậu nở tới 6.5m ngay tại cửa ngõ Gò Vấp – Phú Nhuận? An Phát Tài chính thức giải mã sức hút của siêu phẩm tại trục Nguyễn Kiệm – nơi sở hữu diện tích 132 m2 vuông vức (công nhận đủ 100%), một "tọa độ vàng" cho những chuẩn mực sống thượng lưu và vượng khí nhất năm 2026.

Bạn Sẽ Làm Gì Với 311.8m2 Sàn Sử Dụng Trên Thế Đất Đại Cát?

Sở hữu diện tích sàn sử dụng lên đến 311.8 m2 trên nền đất nở hậu 6.5m không chỉ là con số, mà là nền tảng cho sự thịnh vượng bền vững. Với quy mô này, gia chủ có thể kiến tạo một dinh thự phố bề thế hoặc tòa nhà Căn hộ dịch vụ cao cấp với hiệu suất cho thuê cực đỉnh. An Phát Tài không chỉ bán nhà phố, chúng tôi trao tay bạn sự an tâm tuyệt đối với bảo chứng pháp lý từ Hội đồng Luật sư riêng biệt.

Thông số kỹ thuật và Pháp lý

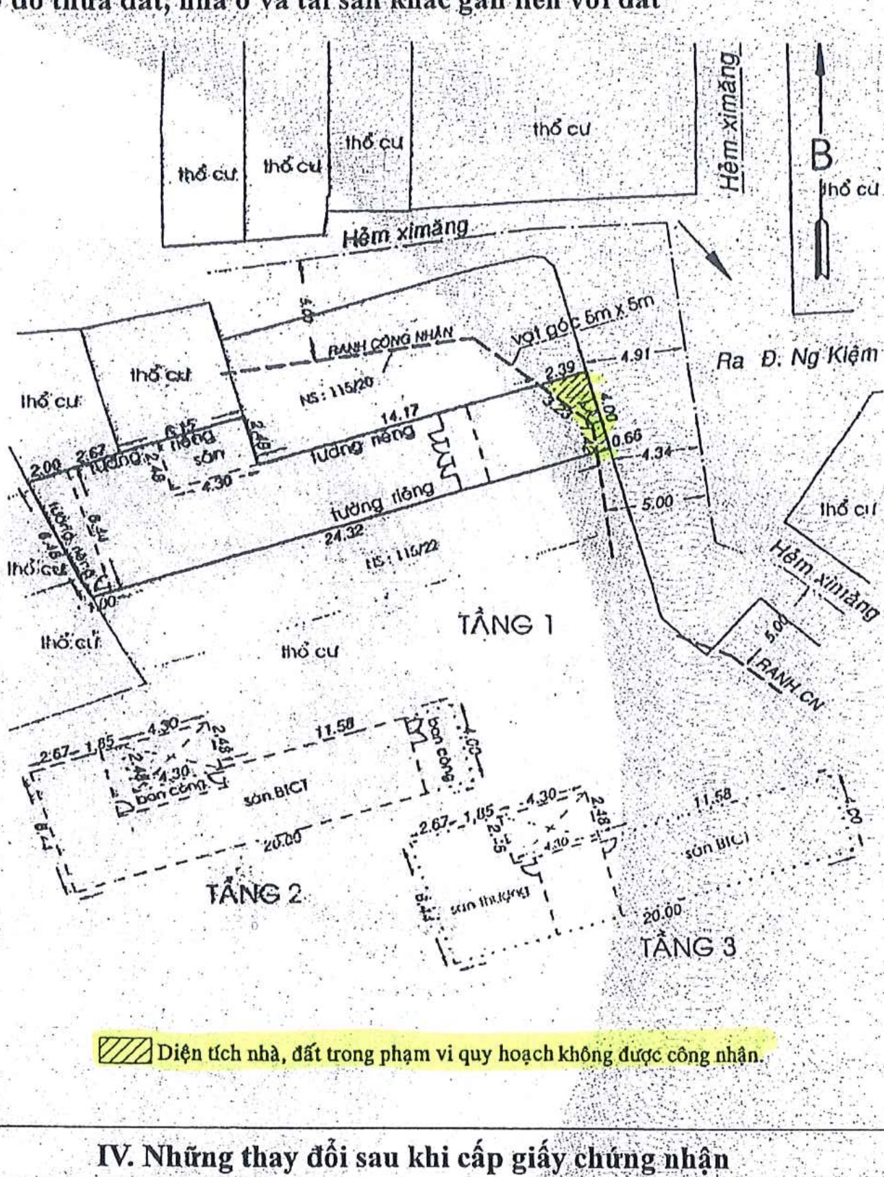
Vị trí: 799/23 Nguyễn Kiệm, Phường 3, Quận Gò Vấp (Giáp ranh Phú Nhuận, gần sân bay).

Diện tích khu đất (DTKV): 132 m2 (4m x 26m).

Diện tích công nhận (DTQH): 132 m2 (Nở hậu 6.5m cực đẹp).

Diện tích sàn (DTS): 311.8 m2 (Thiết kế kiên cố, không gian rộng rãi).

Thế đất: Nở hậu 6.5m (Gần gấp đôi mặt tiền), chuẩn phong thủy "Túi đựng tiền".

Hồ sơ pháp lý: Số tờ 55, Số thửa 83. Sổ hồng riêng chính chủ. An Phát Tài hỗ trợ kiểm tra quy hoạch 2026 chi tiết nhất.

Đặc quyền Hỗ trợ Pháp lý từ Hội đồng Luật sư An Phát Tài

Thẩm định độc lập: Hội đồng luật sư của chúng tôi đã xác minh nguồn gốc đất và kiểm tra tình trạng quy hoạch để đảm bảo giao dịch an toàn 100%.

Hỗ trợ Miễn phí 100%: Từ tư vấn thủ tục giao dịch đến sang tên công chứng, bạn sẽ được đồng hành bởi những chuyên gia pháp lý hàng đầu mà không tốn bất kỳ chi phí nào.

📞 Hotline Tư Vấn Luật Sư: 0907200998

🏢 Địa Chỉ: Số 8 Thạch Thị Thanh, Quận